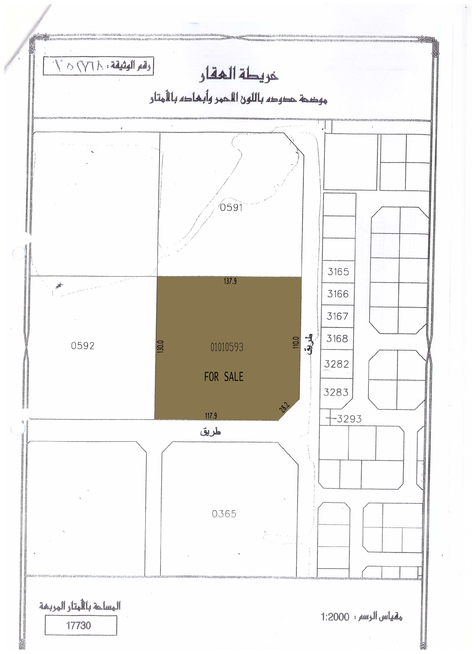
Zoning

B4

SQM

17730

Plot No.

01010593

Land Parcel No.

2008/7294

Property Detail

The Concept of Luxury

The land zoning is Commercial/B4. It is ideally located near Bahrain International Airport and in close proximity to Amwaj Islands and Diyar Al-Muharaq. It is also easy access to hospitals, supermarkets, shopping malls public parks, and restaurants.

Property Location

Find Your Dream Real Estate Property